Residential land for sale in Agios Sylas, Ypsonas
For Sale / EUR 138.000
77775070
or +357 95598488
Reasonably priced for a quick sale - 655sq.m at 80%!!!!
Property ID:
VL19349
Office Code:
30LEHA
Type:
Land / Plot
35
2
360
Area:
Agios Sylas
District:
Limassol
Plot Size:
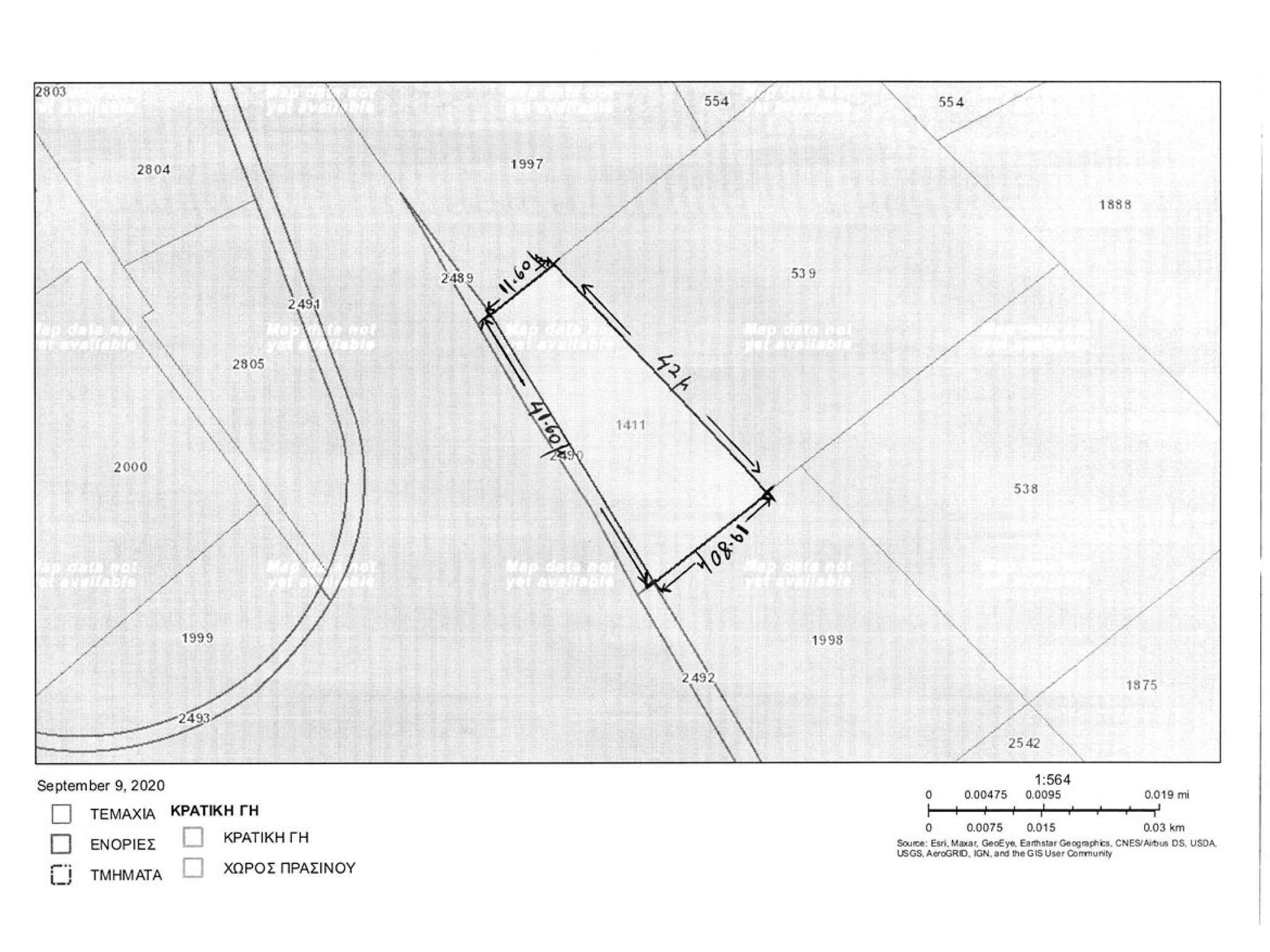
655 m2
Building Density:
80.00 %
Land Type:
Residential
Share this property:
Property Actions:
Print
Request
Bookmark
Bookmarked
Recommend
Metric Conv
Mortgage
Download 1 property image
DESCRIPTION
This is a nice size residential piece of land with a long frontage, situated around 100 meters from the highway so there is a bit of noise.
This plot falls within the Ka7 building zone with 80% building density, 45% coverage, 3 floors and 13.50m max. height.
Πωλείται οικιστικό τεμάχιο γής στον Άγιο Συλα, περίπου 100μ απο το highway με τον αναμενόμενο θόρυβο.
Το οικόπεδο εμπίπτει στην οικιστική ζώνη Κα7, με Σ.Δ 80%, Σ.Κ. 45%, 3 ορόφους και μέγιστο ύψος 13,50μMAIN PROPERTY FEATURES
Mountain Views
For Investment
Available: Immediately
MAP
This land / plot in Agios Sylas, Limassol is being offered for sale at EUR 138.000.
To arrange an appointment to view this and any other property from our website, please call or email us directly.
Other property suggestions
VL52374
Souni, Limassol
500 m2 Land / Plot For Sale
ARE YOU READY TO BUILD YOUR DREAM HOME IN THE COUNTRYSIDE?
EUR 125.000
For internal use only: 30LEHA
VL47641
Pera Pedi, Limassol
4.683 m2 Land / Plot For Sale
4683 sq.m.
EUR 160.000
For internal use only: 1PANI
VL43070
Vasa, Limassol
1.320 m2 Land / Plot For Sale
1320 sq.m.
EUR 150.000
For internal use only: 12MIPA
VL36441
Pera Pedi, Limassol
2.900 m2 Land / Plot For Sale
2900 sq.m.
EUR 150.000
For internal use only: 1PANI
VL34724
Parekklisia, Limassol
12.562 m2 Land / Plot For Sale
12562 sq.m.
EUR 150.000
For internal use only: 1PANI

